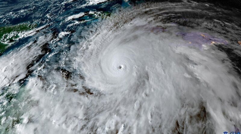
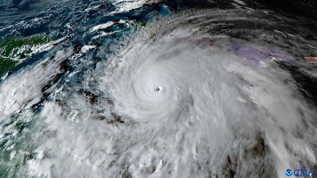
Hurricane Melissa is one of the strongest hurricanes ever recorded in the Atlantic
Hurricane Melissa is among the strongest hurricanes to have formed in the Atlantic Ocean since records were kept, ranking as one the most powerful storms in terms of both wind strength and pressure.
The storm that formed last week was an “extremely dangerous” Category 5 hurricane as it bore down on Jamaica on Tuesday, according to the U.S. National Hurricane Center.
With maximum sustained winds of 185 mph, Melissa was tied with four storms for the strongest winds.
Those storms are Hurricane Dorian in 2019, Hurricane Gilbert in 1988, Hurricane Wilma in 2005 and a 1935 storm known as the Labor Day hurricane, before storms were named the way they are now.
Hurricane Allen in 1980 had the strongest winds, recorded at 190 mph.
A hurricane’s strength is also measured by its pressure, measured in millibars. According to the National Oceanic and Atmospheric Administration, hurricanes typically get stronger as their pressure decreases.
As of late Tuesday morning, Melissa had a minimum central pressure of 892 millibars.
Only Gilbert and Wilma were ahead of Melissa. Wilma recorded a minimum sea level pressure of 882 millibars, and Gilbert had a minimum central pressure of 888 millibars.
CSU/CIRA & NOAA/Handout via Reuters



